HomeAUUrgent Alert: Severe Tropical Cyclone Threatens Northern Australia with Potential Devastation

Urgent Alert: Severe Tropical Cyclone Threatens Northern Australia with Potential Devastation

Share and Follow
Residents in storm-lashed Far North Queensland could be facing another tropical cyclone in a few days, a potential second giant storm within just a few weeks.

The Bureau of Meteorology has announced that it is closely monitoring Tropical Cyclone Maila, a formidable Category 3 storm. This cyclone is currently packing sustained winds of 120 km/h, with gusts reaching up to 165 km/h.

Just last month, Tropical Cyclone Narelle wreaked havoc across Australia, impacting regions such as north Queensland, the Northern Territory, and Western Australia as both a cyclone and an ex-cyclone.

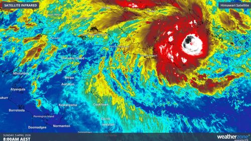
Enhanced infrared satellite image showing Tropical Cyclone Maila over the Solomon Sea on Sunday, April 5. (Weatherzone)

The Bureau reports that Tropical Cyclone Maila is presently stationary in the Solomon Sea. However, projections suggest that it could shift towards the Far North Queensland coast later this week, with a potential landfall over the weekend.

Communities still recovering from the destructive winds and floods caused by Tropical Cyclone Narelle may once again find themselves in the path of severe weather if Cyclone Maila continues its anticipated southwestern trajectory.

This year’s cyclone season, which runs until the end of this month, has already been a busy one, Weatherzone reports.

This marks the 11th named tropical cyclone to either develop within or move into the Australian region during this cyclone season.

The cyclone should reach severe intensity (Category 3) by late next Sunday or early Monday, modelling suggests.

“Should it cross the Cape York Peninsula, the system could weaken over land and then reintensify in the Gulf of Carpentaria, before impacting the eastern Top End early next week as it moves west,” Weatherzone said.

It’s too early to forecast whether Tropical Cyclone Maila will also impact Western Australia, forecasters say.

But they’re reminding Top End communities to be mindful that a weakened or redeveloped system could bring heavy downpours and to check for updates.

NEVER MISS A STORY: Get your breaking news and exclusive stories first by following us across all platforms.

Share and Follow